Fugro wraps up autonomous geophysical survey in Middle East

Project & Tenders

Fugro has completed first fully autonomous geophysical shallow-water route survey in the Middle East.

Controlled from Fugro’s remote operations centre in Abu Dhabi, an uncrewed surface vessel (USV) captured a full range of geophysical data across a survey area some 40 km out from the coast of Abu Dhabi.

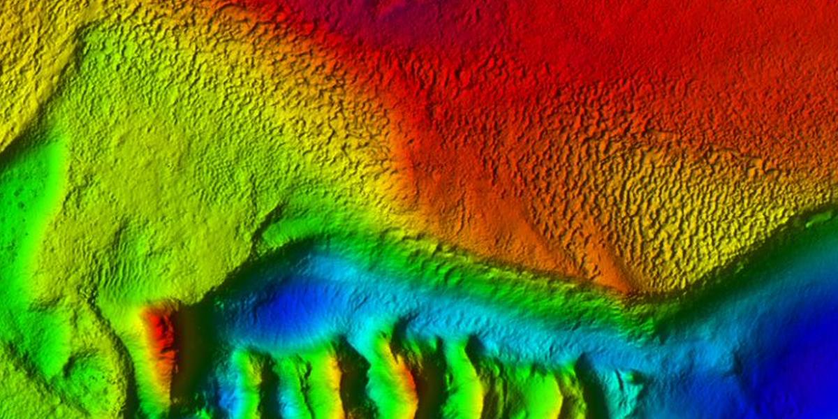
The results of the fully autonomous geophysical shallow-water route survey comprised conductivity, temperature, depth and salinity (CTDS) profiles, bathymetry data, seabed imaging, sub-bottom profiles, and ferrous object detection such as pipes etc.

“Witnessing this ambitious concept transformed into reality is a landmark moment in the Middle East that has resulted in the successful delivery of a critical seabed characterisation report based solely on our autonomously acquired Geo-data,” said Gerard Ferreira, Fugro’s service line director for Marine Geophysics in the Middle East.